BREAKING: Major Hurricane Developing — Take Action Now
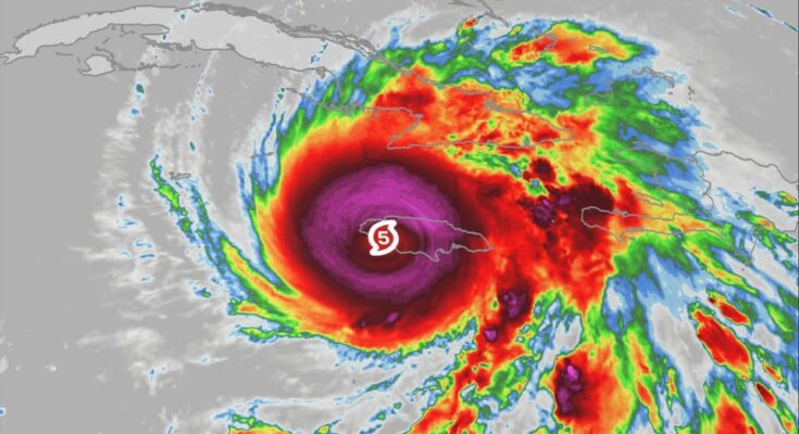
A powerful hurricane has rapidly intensified over the ocean and reached Category 4 status, with sustained winds over 130 mph. Meteorologists warn it may strengthen to Category 5 before making landfall in the coming days.
Coastal areas along the Gulf Coast and Southeast U.S. face the greatest risk, with forecasts predicting deadly storm surges up to 15 feet, heavy flooding, and widespread damage. Evacuations are underway in vulnerable regions.
What to Do Now:
Evacuate if ordered.
Secure your home and outdoor items.
Stock up on food, water, and essentials.
Stay informed via official weather alerts.
This storm is extremely dangerous. Immediate preparation can save lives.
